|
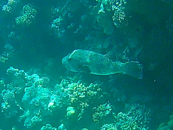
Von: Manuela (Eingetragen am: 24.01.2019 um 07:21 Uhr)
Hallo,
ich habe gestern diesen Fisch in der Makadi Bay (Ägypten) entdeckt. Könnte es sich um ein Drachenkopf handeln.
Liebe Grüße Manu und Zapp
|
|
Von: Steven (Eingetragen am: 24.01.2019 um 07:27 Uhr)
Hallo Manu, Hallo Zapp,
das ist ein Riesenkugelfisch :)
Schöne Grüsse und noch viel Spass in Ägypten, Steven/easydive24.de
|
|
Aal-artige, Anemonen, Anemonenfische, Anglerfische, Barrakudas, Büschelbarsche, Doktorfische, Drückerfische, Falterfische, Garnelen & Co., Geisterpfeifenfische,
Großbarsche, Haie, Hummer, Igelfische,
Kaiserfische, Kofferfische, Korallen, Krabben und Krebse, Kugelfische, Langusten, Lippfische, Meerbarben, Meeresschildkröten, Muränen, Muscheln, Nacktschnecken, Papageifische, Plattfische, Quallen, Riffbarsche, Ritterfische, Robben, Rochen, Schnapper, Schwämme, Seelöwen,
Seenadeln, Seepferdchen, Süsslippen, Seesterne, Skorpionsfische, Soldatenfische, Wale, Welse, Wimpelfische , Würmer
|
|
 |
Diese Seite lebt von der Mithilfe ihrer Nutzer!
Über Bilder noch fehlender Fischarten oder anderer Riffbewohner sowie über ergänzende Informationen und Hilfe bei der Identifizierung mir unbekannter Spezies (klicke hier) würde ich mich sehr freuen! Ganz einfach eine eMail an info@easydive24.de, ich melde mich dann schnellstmöglich!
|
Hinweis
Alle auf dieser Seite aufgeführten Arten wurden nach bestem Wissen und Gewissen bestimmt. Sollte sich ein Fehler eingeschlichen haben, würde ich mich über eine kurze Info freuen. [mehr]
|
Was ist das?
Haben Sie Schwierigkeiten bei einer Identifizierung? Senden Sie uns ein Foto an info[at]easydive24.de und wir werden es hier veröffentlichen. Vielleicht erhalten Sie schon bald eine Antwort auf ihre Frage.
[mehr]
|
|
|