|
Von: Tina (Eingetragen am: 26.01.2019 um 10:09 Uhr)
Hallo,
eure Internetseite hat mir bereits sehr geholfen, diverse Fischearten zu bestimmen.
Bei einigen kam ich jedoch nicht weiter und möchte euch Bilder dazu senden.
Vielleicht könnt ihr mir ja weiterhelfen.
Aufgenommen sind diese in Marsa Alam.
Vorab vielen Dank und freundliche Grüße tina
|
|
Von: Steven (Eingetragen am: 26.01.2019 um 22:23 Uhr)
Hallo Tina,
vielen Dank für die netten Worte. Ich freue mich immer wieder, wenn ich mit dem kleinen Fischführer weiterhelfen kann :)
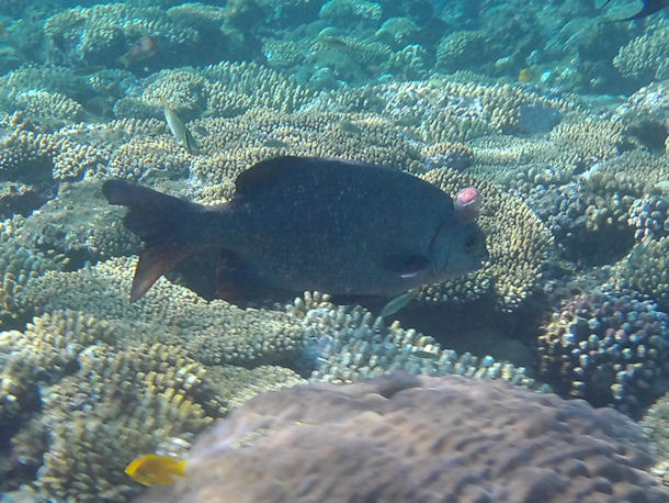
Auf den ersten Bild ist ein Blauer Ruderfisch zu sehen.
Die nächsten beiden Bilder zeigen ein Kugelkopf Papageifisch Weibchen. Bisher habe ich im Fischführer nur das Bild eines Männchens:
Auf dem letzten Bild ist ein Rotmeer-Kofferfisch zusehen.
Schöne Grüsse, Steven / easydive24.de
|
Von: Tina (Eingetragen am: 26.01.2019 um 22:23 Uhr)
Hallo Steven,
vielen Dank für deine schnelle Hilfe.
Das Weibchen hatte ich mittlerweile auch schon gefunden.
Liebe Grüße Tina
|
|
Aal-artige, Anemonen, Anemonenfische, Anglerfische, Barrakudas, Büschelbarsche, Doktorfische, Drückerfische, Falterfische, Garnelen & Co., Geisterpfeifenfische,
Großbarsche, Haie, Hummer, Igelfische,
Kaiserfische, Kofferfische, Korallen, Krabben und Krebse, Kugelfische, Langusten, Lippfische, Meerbarben, Meeresschildkröten, Muränen, Muscheln, Nacktschnecken, Papageifische, Plattfische, Quallen, Riffbarsche, Ritterfische, Robben, Rochen, Schnapper, Schwämme, Seelöwen,
Seenadeln, Seepferdchen, Süsslippen, Seesterne, Skorpionsfische, Soldatenfische, Wale, Welse, Wimpelfische , Würmer
|
|
 |
Diese Seite lebt von der Mithilfe ihrer Nutzer!
Über Bilder noch fehlender Fischarten oder anderer Riffbewohner sowie über ergänzende Informationen und Hilfe bei der Identifizierung mir unbekannter Spezies (klicke hier) würde ich mich sehr freuen! Ganz einfach eine eMail an info@easydive24.de, ich melde mich dann schnellstmöglich!
|
Hinweis
Alle auf dieser Seite aufgeführten Arten wurden nach bestem Wissen und Gewissen bestimmt. Sollte sich ein Fehler eingeschlichen haben, würde ich mich über eine kurze Info freuen. [mehr]
|
Was ist das?
Haben Sie Schwierigkeiten bei einer Identifizierung? Senden Sie uns ein Foto an info[at]easydive24.de und wir werden es hier veröffentlichen. Vielleicht erhalten Sie schon bald eine Antwort auf ihre Frage.
[mehr]
|
|
|