Grundeln
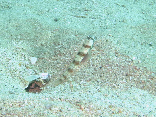
Downings Grundel (Amblyeleotris downingi)
Systematik
| Klasse |
Überordnung |
Ordnung |
Unterordnung |
Familie |
| ACTINOPTERYGII |
ACANTHOPTERYGII |
PERCIFORMES |
|
GOBIIDAE |
| Wissenschaftlicher Name: |
Amblyeleotris downingi (Randall, 1994) |
|
|
Allgemeine Informationen
| Namen: |
Downings shrimpgoby (UK) |
| Vorkommen: |
Indo-Pazifik |
| Lebensraum: |
|
| Größe: |
11 cm |
|
|
Arten der Gattung Amblyeleotris
 |
|
 |
Amblyeleotris arcupinna (Mohlmann & Munday, 1999)
Amblyeleotris aurora (Polunin & Lubbock, 1977)
Amblyeleotris bellicauda Randall, 2004
Amblyeleotris biguttata Randall, 2004
Amblyeleotris bleekeri Chen, Shao & Chen, 2006
Amblyeleotris callopareia Polunin & Lubbock, 1979
Amblyeleotris delicatulus Smith, 1958
Amblyeleotris diagonalis Polunin & Lubbock, 1979
Amblyeleotris downingi Randall, 1994
Amblyeleotris ellipse Randall, 2004
Amblyeleotris exilis
Amblyeleotris fasciata (Herre, 1953)
Amblyeleotris fontanesii (Bleeker, 1852)
Amblyeleotris guttata (Fowler, 1938)
Amblyeleotris gymnocephala (Bleeker, 1853)
Amblyeleotris harrisorum Mohlmann & Randall, 2002
Amblyeleotris japonica Takagi, 1957
Amblyeleotris katherine Randall, 2004
Amblyeleotris latifasciata Polunin & Lubbock, 1979
Amblyeleotris macronema Polunin & Lubbock, 1979
Amblyeleotris marquesas Mohlmann & Randall, 2002
Amblyeleotris masuii Aonuma & Yoshino, 1996
Amblyeleotris melanocephala Aonuma, Iwata & Yoshino, 2000
Amblyeleotris morishitai Senou & Aonuma, 2007
Amblyeleotris neglecta Jaafar & Randall, 2009
Amblyeleotris neumanni Randall & Earle, 2006
Amblyeleotris novaecaledoniae Goren, 1981
Amblyeleotris ogasawarensis Yanagisawa, 1978
Amblyeleotris periophthalma (Bleeker, 1853)
Amblyeleotris randalli Hoese & Steene, 1978
Amblyeleotris rhyax Polunin & Lubbock, 1979
Amblyeleotris rubrimarginata Mohlmann & Randall, 2002
Amblyeleotris steinitzi (Klausewitz, 1974)
Amblyeleotris stenotaeniata Randall, 2004
Amblyeleotris sungami (Klausewitz, 1969)
Amblyeleotris taipinensis Chen, Shao & Chen, 2006
Amblyeleotris triguttata Randall, 1994
Amblyeleotris wheeleri (Polunin & Lubbock, 1977)
Amblyeleotris yanoi Aonuma & Yoshino, 1996
Amblyeleotris esakiae (Herre, 1939) --> Amblygobius esakiae Herre, 1939
Amblyeleotris fasciatus (Herre, 1953) --> Amblyeleotris fasciata (Herre, 1953)
Amblyeleotris fontanesi (Bleeker, 1852) --> Amblyeleotris fontanesii (Bleeker, 1852)
Amblyeleotris japonicus Takagi, 1957 --> Amblyeleotris japonica Takagi, 1957
Amblyeleotris maculata Yanagisawa, 1976 --> Amblyeleotris periophthalma (Bleeker, 1853)
Amblyeleotris periophthalmus (Bleeker, 1853) --> Amblyeleotris periophthalma (Bleeker, 1853)
Amblyeleotris raoi Herre, 1939 --> Parioglossus raoi (Herre, 1939)
|
|
Aal-artige, Anemonen, Anemonenfische, Anglerfische, Barrakudas, Büschelbarsche, Doktorfische, Drückerfische, Falterfische, Garnelen & Co., Geisterpfeifenfische,
Großbarsche, Haie, Hummer, Igelfische,
Kaiserfische, Kofferfische, Korallen, Krabben und Krebse, Kugelfische, Langusten, Lippfische, Meerbarben, Meeresschildkröten, Muränen, Muscheln, Nacktschnecken, Papageifische, Plattfische, Quallen, Riffbarsche, Ritterfische, Robben, Rochen, Schnapper, Schwämme, Seelöwen,
Seenadeln, Seepferdchen, Süsslippen, Seesterne, Skorpionsfische, Soldatenfische, Wale, Welse, Wimpelfische , Würmer
|
|
 |
Diese Seite lebt von der Mithilfe ihrer Nutzer!
Über Bilder noch fehlender Fischarten oder anderer Riffbewohner sowie über ergänzende Informationen und Hilfe bei der Identifizierung mir unbekannter Spezies (klicke hier) würde ich mich sehr freuen! Ganz einfach eine eMail an info@easydive24.de, ich melde mich dann schnellstmöglich!
|
Hinweis
Alle auf dieser Seite aufgeführten Arten wurden nach bestem Wissen und Gewissen bestimmt. Sollte sich ein Fehler eingeschlichen haben, würde ich mich über eine kurze Info freuen. [mehr]
|
Was ist das?
Haben Sie Schwierigkeiten bei einer Identifizierung? Senden Sie uns ein Foto an info[at]easydive24.de und wir werden es hier veröffentlichen. Vielleicht erhalten Sie schon bald eine Antwort auf ihre Frage.
[mehr]
|
|
|