Meerbarben
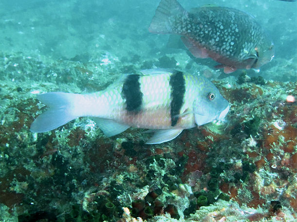
Doppelsattel-Meerbarbe (Parupeneus trifasciatus)
Systematik
| Klasse |
Teilklasse |
Ordnung |
Unterordnung |
Familie |
| ACTINOPTERYGII (Strahlenflosser) |
TELEOSTEI (E.Knochenfische) |
PERCIFORMES (Barschartige) |
PERCOIDEI (Echte Barsche) |
MULLIDAE (Meerbarben) |
| Wissenschaftlicher Name: |
Parupeneus trifasciatus (Lacepède, 1801) |
| Synonyme: |
Mullus bifasciatus (Lacepède, 1801), Mullus trifasciatus (Lacepède, 1801), Parupeneus bifasciatus (Lacepède, 1801), Pseudupeneus bifasciatus (Lacepède, 1801), Upeneus bifasciatus (Lacepède, 1801), Upeneus trifasciatus (Lacepède, 1801) |
|
|
Allgemeine Informationen
| Namen: |
Doppelsattel-Meerbarbe, Vielstreifen-Meerbarbe (D), Doublebar goatfish (UK) |
| Vorkommen: |
Indo-Pazifik |
| Lebensraum: |
an Riffen in Tiefen von 1-80 m |
| Größe: |
35 cm |
|
|
Beschreibung
|
Doppelsattel-Meerbarben (Parupeneus trifasciatus) kommen im gesamten Indopazifik bis nach Australien, Madagaskar und Mauritius vor. Sie werden bis zu 35 cm lang. Sie durchwühlen mit ihren Kinnbarteln den Boden auf der Suche nach Nahrung (kleinen Krebstieren, Würmern und Weichtieren).
|
|
|
Arten der Gattung Parupeneus
 |
|
 |
Parupeneus angulatus (Randall & Heemstra, 2009)
Parupeneus barberinoides (Bleeker, 1852)
Parupeneus barberinus (Lacepède, 1801)
Parupeneus biaculeatus (Richardson, 1846)
Parupeneus chrysonemus (Jordan & Evermann, 1903)
Parupeneus chrysopleuron (Temminck & Schlegel, 1843)
Parupeneus ciliatus (Lacepède, 1802)
Parupeneus crassilabris (Valenciennes, 1831)
Parupeneus cyclostomus (Lacepède, 1801)
Parupeneus diagonalis Randall, 2004
Parupeneus forsskali (Fourmanoir & Guézé, 1976)
Parupeneus fraserorum Randall & King, 2009
Parupeneus heptacanthus (Lacepède, 1802)
Parupeneus indicus (Shaw, 1803)
Parupeneus insularis Randall & Myers, 2002
Parupeneus jansenii (Bleeker, 1856)
Parupeneus louise Randall, 2004
Parupeneus macronemus (Lacepède, 1801)
Parupeneus margaritatus Randall & Guézé, 1984
Parupeneus minys Randall & Heemstra, 2009
Parupeneus moffitti Randall & Myers, 1993
Parupeneus multifasciatus (Quoy & Gaimard, 1825)
Parupeneus nansen Randall & Heemstra, 2009
Parupeneus orientalis (Fowler, 1933)
Parupeneus pleurostigma (Bennett, 1831)
Parupeneus porphyreus (Jenkins, 1903)
Parupeneus posteli Fourmanoir & Guézé, 1967
Parupeneus procerigena Kim & Amaoka, 2001
Parupeneus rubescens (Lacepède, 1801)
Parupeneus seychellensis (Smith & Smith, 1963)
Parupeneus spilurus (Bleeker, 1854)
Parupeneus trifasciatus (Lacepède, 1801)
Parupeneus aurantius Fourmanoir, 1966 --> Parupeneus biaculeatus (Richardson, 1846)
Parupeneus bifaciatus (Lacepède, 1801) --> Parupeneus trifasciatus (Lacepède, 1801)
Parupeneus bifasciatus (Lacepède, 1801) --> Parupeneus trifasciatus (Lacepède, 1801)
Parupeneus brandesii (Bleeker, 1851) --> Parupeneus pleurostigma (Bennett, 1831)
Parupeneus chryserydros (Lacepède, 1801) --> Parupeneus cyclostomus (Lacepède, 1801)
Parupeneus cinnabarinus (Cuvier, 1829) --> Parupeneus heptacanthus (Lacepède, 1802)
Parupeneus dispilurus (Playfair, 1867) --> Parupeneus rubescens (Lacepède, 1801)
Parupeneus dubius (Temminck & Schlegel, 1843) --> Parupeneus chrysopleuron (Temminck & Schlegel, 1843)
Parupeneus flavolineatus (Lacepède, 1801) --> Mulloidichthys flavolineatus (Lacepède, 1801)
Parupeneus fraterculus (Valenciennes, 1831) --> Parupeneus ciliatus (Lacepède, 1802)
Parupeneus ischyrus (Snyder, 1907) --> Parupeneus ciliatus (Lacepède, 1802)
Parupeneus janseni (Bleeker, 1856) --> Parupeneus jansenii (Bleeker, 1856)
Parupeneus kneri Bleeker, 1873 --> Parupeneus biaculeatus (Richardson, 1846)
Parupeneus luteus (Valenciennes, 1831) --> Parupeneus cyclostomus (Lacepède, 1801)
Parupeneus lutues (Valenciennes, 1831) --> Parupeneus cyclostomus (Lacepède, 1801)
Parupeneus macronema (Lacepède, 1801) --> Parupeneus macronemus (Lacepède, 1801)
Parupeneus malabaricus (Cuvier, 1829) --> Parupeneus indicus (Shaw, 1803)
Parupeneus multifaciatus (Quoy & Gaimard, 1825) --> Parupeneus multifasciatus (Quoy & Gaimard, 1825)
Parupeneus pelurostigma (Bennett, 1831) --> Parupeneus pleurostigma (Bennett, 1831)
Parupeneus pleurospilos (Bleeker, 1853) --> Parupeneus heptacanthus (Lacepède, 1802)
Parupeneus pleurospilus (Bleeker, 1853) --> Parupeneus heptacanthus (Lacepède, 1802)
Parupeneus pleurotaenia (Playfair, 1867) --> Parupeneus ciliatus (Lacepède, 1802)
Parupeneus signatus (Günther, 1867) --> Parupeneus spilurus (Bleeker, 1854)
Parupeneus sp.1 Not applicabe --> Parupeneus heptacanthus (Lacepède, 1802)
Parupeneus taniatus (Kner, 1865) --> Parupeneus biaculeatus (Richardson, 1846)
Parupeneus xanthospilurus Bleeker, 1875 --> Parupeneus cyclostomus (Lacepède, 1801)
|
|
Aal-artige, Anemonen, Anemonenfische, Anglerfische, Barrakudas, Büschelbarsche, Doktorfische, Drückerfische, Falterfische, Garnelen & Co., Geisterpfeifenfische,
Großbarsche, Haie, Hummer, Igelfische,
Kaiserfische, Kofferfische, Korallen, Krabben und Krebse, Kugelfische, Langusten, Lippfische, Meerbarben, Meeresschildkröten, Muränen, Muscheln, Nacktschnecken, Papageifische, Plattfische, Quallen, Riffbarsche, Ritterfische, Robben, Rochen, Schnapper, Schwämme, Seelöwen,
Seenadeln, Seepferdchen, Süsslippen, Seesterne, Skorpionsfische, Soldatenfische, Wale, Welse, Wimpelfische , Würmer
|
|
 |
Diese Seite lebt von der Mithilfe ihrer Nutzer!
Über Bilder noch fehlender Fischarten oder anderer Riffbewohner sowie über ergänzende Informationen und Hilfe bei der Identifizierung mir unbekannter Spezies (klicke hier) würde ich mich sehr freuen! Ganz einfach eine eMail an info@easydive24.de, ich melde mich dann schnellstmöglich!
|
Hinweis
Alle auf dieser Seite aufgeführten Arten wurden nach bestem Wissen und Gewissen bestimmt. Sollte sich ein Fehler eingeschlichen haben, würde ich mich über eine kurze Info freuen. [mehr]
|
Was ist das?
Haben Sie Schwierigkeiten bei einer Identifizierung? Senden Sie uns ein Foto an info[at]easydive24.de und wir werden es hier veröffentlichen. Vielleicht erhalten Sie schon bald eine Antwort auf ihre Frage.
[mehr]
|
|
|